Andrew Anglin
Daily Stormer
September 5, 2019
America is a powder keg ready to pop, so many of us believed that Hurricane Dorian, and the riots and looting that followed, would of course lead to a communist revolution, as the disenfranchised blacks took back what belongs to them in a rampage of justice.
However, the whole thing was a bust – far from an apocalypse, this storm isn’t even hitting America. It’s already completely past Florida.
There’s some rain in the Carolinas.
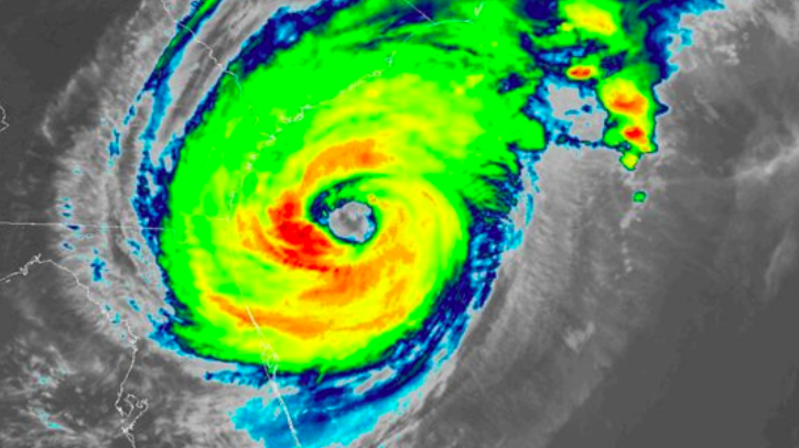
Parts of historic Market Street were under a foot of water and gusting winds blew rain sideways Thursday as Hurricane Dorian continued its unrelenting advance on the U.S. coast, days after devastating parts of the Bahamas.
Hundreds of thousands of coastal residents of the Carolinas were packing up to flee their homes or were already gone. More than 200,000 homes and businesses across the state already were without power.
The historic storm, strengthened a bit to regain Category 3 status, was about 65 miles southeast of here at 10 a.m. ET Thursday with maximum sustained winds at 115 mph, the National Hurricane Center said.
“It is the water that kills people,” Gov. Henry McMaster said. “Water is the real danger. And it’s clear that we are going to have a lot of water.”
This was basically the biggest media hoax since Russiagate.
Seriously.
I was promised mass death.
It looks like if we’re going to implement communism in America, we’re just going to have to do it the old-fashioned way: by voting for Elizabeth Warren, the Ultimate Aryan Avatar of True Aryan Socialism.



